Arany László: Az élő Hold

Üdvözöljük a túlsó oldalon!

 

Szokatlan formák a Lunar Orbiter fotóin!

 

 

Az itt bemutatásra kerülő fényképeket különböző könyvekből szkenneltük be, melyeket a korai Apolló küldetések idején adtak ki. Néhány közülük pontosan azonos az Interneten elérhetőkkel, habár számos nyilvánvaló különbséget mutatnak. Megadjuk a könyvek részleteit, ha valaki kedvet érez megtalálhatja saját maga is az eredeti felvételeket és összehasonlíthatja az Interneten lévőkkel. Mindkét forrás ugyanaz…. – NASA.

A következő felvétel a „Világűr felfedezése kamerával”, NASA, SP-168 (1968)

 

 

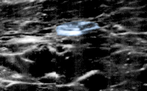
Lunar Orbiter #1-102

 

 

 http://www.thelivingmoon.com:80/43ancients/04images/Moon9/LO_1_120/LO_1_120_half01.png

 

Megjegyzések:

Az eredeti felvétel itt található, közvetlenül a könyvből származó felvétel. Színkorrekciót alkalmaztunk, a nyomtatás során keletkezett tintahibákat eltávolítottuk.

 


 

 

Az eredeti: http://www.thelivingmoon.com:80/43ancients/04images/Moon9/LO_1_120/LO-1-102_Left.png

 

 

Az eredeti: http://www.thelivingmoon.com:80/43ancients/04images/Moon9/LO_1_120/LO-1-102_Right.png

 

Megjegyzések:

Rendkívül sok érdekes alakzat van ezeken a felvételeken de most csak néhány korai időkben észrevett formációra koncentrálunk. Alábbiakban részletezzük.

 


  

Bányászati tevékenység

 

 

Megjegyzések:

Sok megbolygatott és piszkos terület mellett jó néhány „utat” is láthatunk.

 


 

Utak

 

 

Megjegyzések

A fenti felvétel hosszú és viszonylagosan egyenes utat mutat, egy újabb bányászati helyszínhez. Jobb oldalt alul, a kráter, amit látunk, fénygyűrűnek tűnik.

 

 


 

Ipari komplexum

 

 

Megjegyzések:

A felvételen számos „utat” láthatunk, fényekkel övezve. A jobb felső sarokban egészen tekintélyes struktúra látható, a hegyháton, olybá fest, mint egy világítótorony.

 

    

 

Bal oldalt földút látható a fák között, és két fénycsoport. Jobbról egymást keresztező utak, utcai lámpákkal. Mindkét felvétel a Kennedy Űrközpontról készült, műhold segítségével, a felbontása arányaiban lerontva, a pontosabb összehasonlítás végett.

 


 

A legfrissebb

 

 

Az alábbi fórumon tekinthető meg, Tanulmány a Lunar Orbiter – 1-102 felvételéről (holdi anomáliák) http://www.abovetopsecret.com:80/forum/thread322430/pg1

 

Az eredeti felvétel, melyet itt használtunk fel, a következő helyen található: http://www.lpi.usra.edu:80/resources/lunarorbiter/frame/?1102, egészen pontosan: http://www.lpi.usra.edu:80/resources/lunarorbiter/images/preview/1102_h1.jpg

 

A felvételt John Lear „Gubancok a Holdon” című írásában mutattuk be először, „Ipari komplexum” cím alatt (lásd a példát fentebb). Az újabb kiadású LO-1 – 102 jelű felvétel sokkal jobb felbontású, mint a könyvből beszkennelhető és sokkal jobb rálátást biztosít számunkra erre a „struktúrára”.

 

 

Az eredeti felvételből egy részlet

 

 

 

Színkiemeléssel a „struktúra”

 

 

 

A teljes struktúra egyetlen szkennelési sávban található, a video-szkenner eredeti negatív felvétele a Lunar Orbiter fedélzetén maradt.

 

 

 

ftp://nssdcftp.gsfc.nasa.gov/miscellaneous/planetary/lunar_orbiter/lo1_h102_123.tiff

 

 

 

http://nssdc.gsfc.nasa.gov/imgcat/hires/lo1_h102_123.gif

 

A szegényes felbontás ellenére, a szokatlan alakzat továbbra is szögletes formaként jelenik meg. Pontosan ez az a forma, amire vadászunk kutatás közben. Az alacsony felbontású képen tisztán kiugrik. Amennyiben valaki megnézi a nagyfelbontású változatot, meggyőződhet róla, van ott valami…

 

 

http://www.lpi.usra.edu/resources/apollo/images/print/AS15/M/0325.jpg

 

 

 

http://www.lpi.usra.edu/resources/apollo/catalog/pan/revolution/?AS15R15Cf

 

A fenti változat az Apolló küldetések során készült, habár semmiféle részlet nem látható, mindkét felvétel tartalmazza a szóban forgó szögletes területet. Feltételezve, hogy a helyszín korrekt, mindenféleképpen érdekesnek számító felfedezés.

 

 

http://grin.hq.nasa.gov/ABSTRACTS/GPN-2000-001588.html

 

 

 

http://www.astrolink.de/pics/m005/m005001/gg/m005001_12.jpg

 

A két fenti, még rosszabb felbontású képen még mindig látható a kis, szögletes terület… Vagyis leszögezhető, valamennyi fotón egyértelműen látható, a szóban forgó területen valamiféle szögletes struktúra található.

 


 

Rejtélyes gömbök

 

 

„Gömbök”

 

    

 

Ez a csoportjuk közel kör alakban elrendezett.

 

 

„Gömbök”

 

  

 

Ezen a helyszínen gömbök csoportjai láthatók szögletes hálózat sorai mentén elrendezve, éppen úgy, mint az utcai lámpák.

 

 

 

Vissza a nyitólapra